تحذيرات من أمطار وسيول.. أعصار "لبان" يتجه نحو اليمن وعمان
- الجزيرة نت الاربعاء, 10 أكتوبر, 2018 - 06:48 مساءً
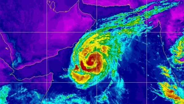
تحذيرات من أمطار وسيول.. أعصار

[ العاصفة المدارية "لبان" تمركزت جنوب غرب بحر العرب (مواقع التواصل) ]

يواصل الإعصار "لبان" -المتمركز جنوب غرب بحر العرب- تحركه باتجاه الغرب والشمال الغربي نحو سواحل محافظة ظفار العمانية والسواحل الجنوبية لليمن.
 
واشتدت قوة وسرعة العاصفة لبان خلال الساعات الماضية، متحولة إلى إعصار من الدرجة الأولى، مصحوبا برياح عاتية تتراوح بين 120 و150 كيلومترا في الساعة، ولا يزال مساره غير واضح حتى الآن.
 
وسميت العاصفة المدارية "لبان"، وهو اسم مختار من سلطنة عمان، ويشير إلى شجرة اللبان العمانية الشهيرة بمحافظة ظفار.
 
وهناك عدة احتمالات لتوجه لبان؛ فالاحتمال الأول هو تحركه نحو الشمال الغربي متجها نحو السواحل الجنوبية الغربية لسلطنة عمان والسواحل الجنوبية الشرقية لليمن. في حين يشير الاحتمال الثاني إلى انحراف الإعصار غربا نحو خليج عدن قبل وصوله إلى السواحل العمانية، متحولا مساء الخميس أو صباح الجمعة مرة أخرى إلى عاصفة استوائية ستضرب ساحل مدينة المكلا اليمنية الأحد القادم.
 
وشملت تحذيراتُ الأرصاد الجوية اضطراب البحر في خليج عدن والمناطق الشرقية المجاورة من اليمن وصلالة العمانية وحتى سواحل الصومال غربا، في ظل احتمالات واردة لتأثر محافظتي ظفار والوسطى العمانيتين بتداعيات لبان بالأمطار الغزيرة والسيول، بَدءا من مساء اليوم الأربعاء، وأعلنت السلطات العمانية حالة الطوارئ القصوى، وألغيت الدراسة في المناطق الغربية من عمان.


التعليقات